Gorran Haven - Plot North Of 28 Chute Lane
SINGLE PLOT FOR A DETACHED COTTAGE - This is a fantastic opportunity to acquire a single building plot for a detached two storey, two bedroom cottage situated in this delightful coastal village which is located at the eastern point of the Roseland Peninsula. The bay of Gorran Haven is sheltered from the prevailing west winds by Dodman Point with two sandy beaches offering some of the best bathing in Cornwall. The area also enjoys an abundance of flora and fauna, and being on the South West coastal path it is an ideal location for walkers.
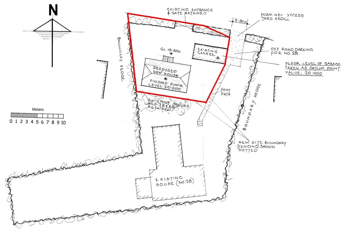
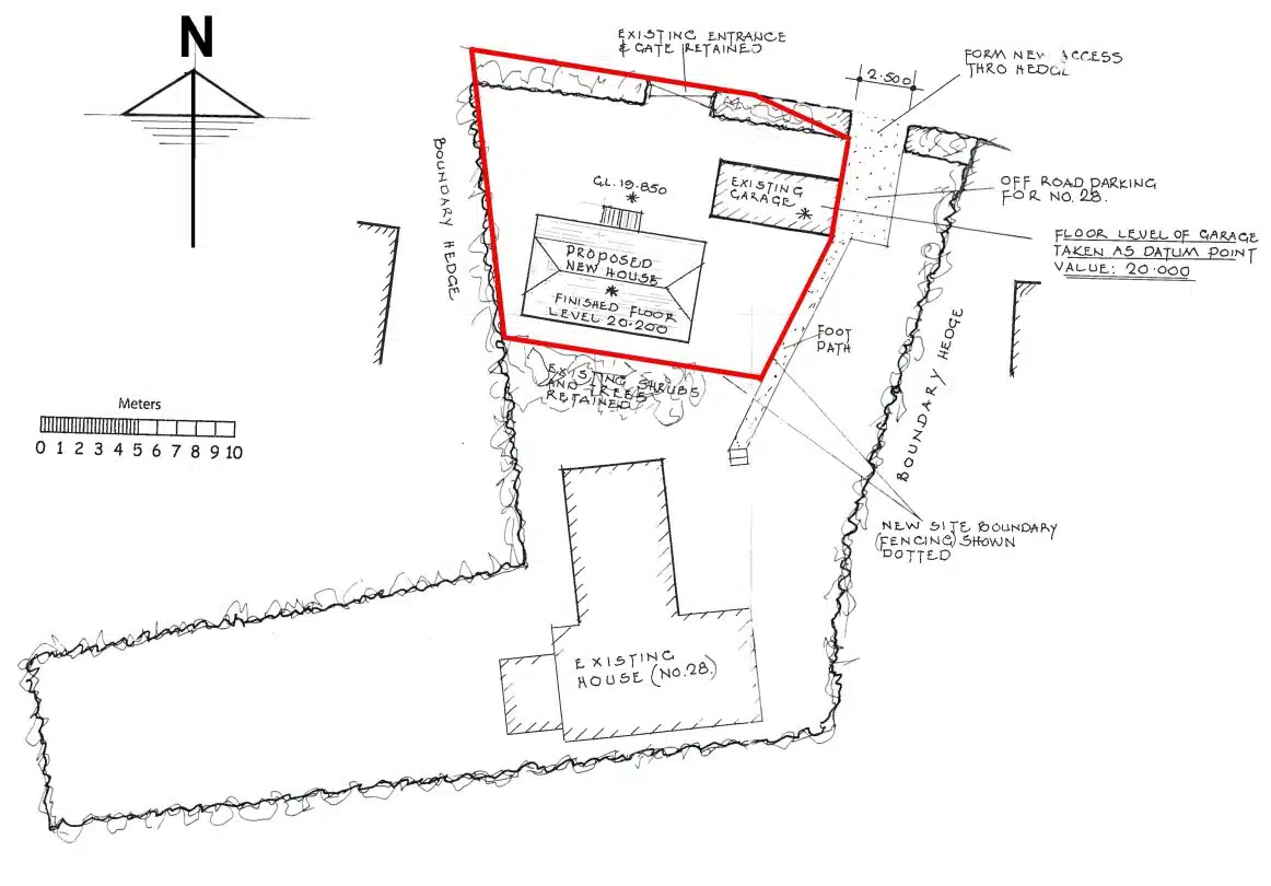
The proposed dwelling has an external footprint of 9m x 5.5m and is situated to the rear of the plot with an area of garden to the side and an enclosed courtyard to the front towards Chute Lane and it is proposed to retain the existing garage for the proposed new dwelling. The plot is situated within close proximity to the beach, being approximately 200m distant.
View of entrance and existing garage
Gragae & proposed garden area
Rear of plot
Existing garage
Access from Road
Proposed site plan
Proposed Plans






Property reference
61Property details
| Price: | Offers in the region of £125,000 |
| Status: | Sold |
| Location: | St Austell |
| Plots: | 1 |
| Surveyor: | Philip Taverner |
